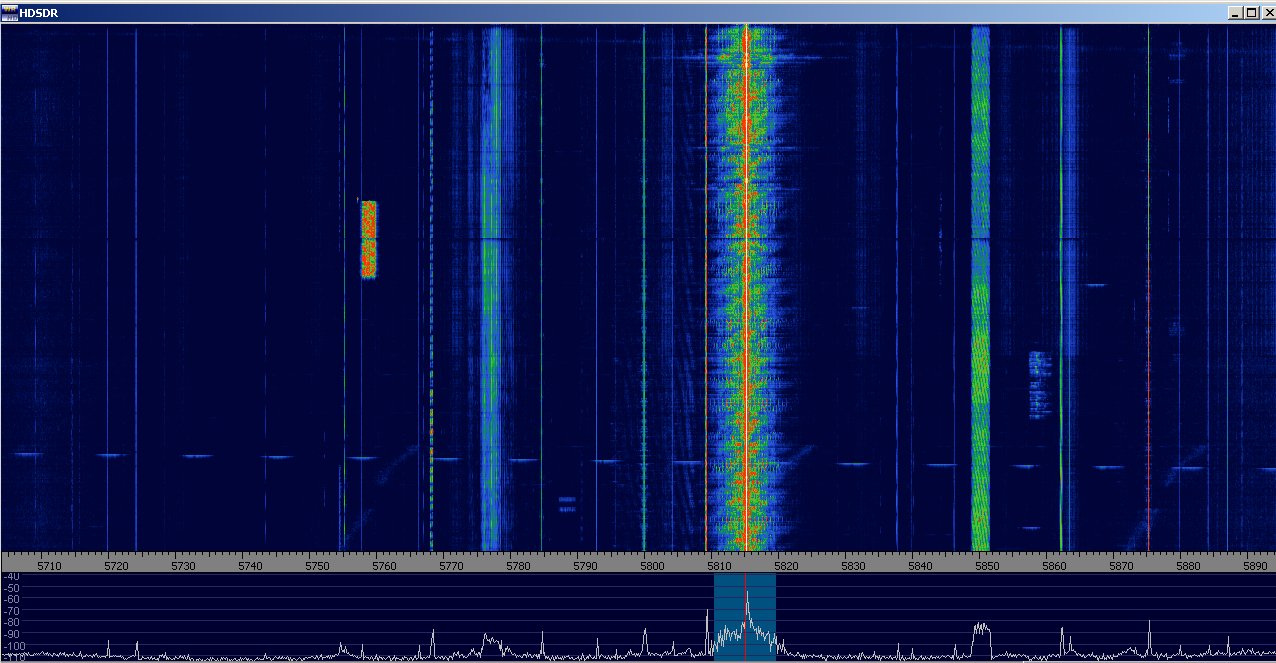
Net even prachtig mooi en vooral vrij ontvangen de Orion radio op 5815 khz.
En dat terwijl de andere stations op 48m allemaal dik in de storing en fading zaten.
Signaal S9+20 en sterke modulatie.
Toen Scotland ook nog even ontvangen met een S9+25 signaal.
Heb 'zijn' plaatje d'r ook maar even bijgezet.
Daarna Royal ontvangen met S9+20 en varierende modulatie.
Wel erg oppassen dat je niet te veel moduleert, want af en toe klonk het beetje bar en boos. 
Op andere momenten wel weer prima. Vooral mooi bassen.
[Edit]
Heb ook even een plaatje van 48m toegevoegd (met Seawulf op 6305en Altrex op 6283), kan je mooi vergelijken hoe druk het daar is.
			
							Orion, Scotland, Royal, Seawulf en Alrex radio
Orion, Scotland, Royal, Seawulf en Alrex radio
					Laatst gewijzigd door Boomi op 28 aug 2011, 12:06, 4 keer totaal gewijzigd.
									
			
													Real Transmitters glow in the dark
			
						Re: Orion radio
Hi,
we are at this moment also able receive "Orion Radio" here on 5815kcs, but signal is weak with 25242 here, again por conditions on shortwaves at daytime!!!
 
Greetings,
Caroline.
  
  
			
			
									
													we are at this moment also able receive "Orion Radio" here on 5815kcs, but signal is weak with 25242 here, again por conditions on shortwaves at daytime!!!
Greetings,
Caroline.
  
  
Pirates for peace !
			
						- Albert R.S.I.
 - Berichten: 1055
 - Lid geworden op: 05 apr 2008, 19:00
 - Locatie: Drentse moerassen
 - Contacteer:
 
Re: Orion, Scotland, Royal, Seawulf en Alrex radio
Hey Boomi, leuke plaatjes..ik zat ietwat breed zo te zien? (ahum)
Albert, R. Scotland.
			
			
									
													Albert, R. Scotland.
Zit de stekker er wel in?
Dit bericht vernietigd zichzelf binnen 2 dagen
			
						Dit bericht vernietigd zichzelf binnen 2 dagen
Re: Orion, Scotland, Royal, Seawulf en Alrex radio
Hier nog ff een plaatje van de 180. 
2 stations, waarvan eentje op 1647, met wel een heel smal filter.
De hoogste frequenties komen niet boven de 3.5 khz. Dan zit je wel mooi smal aan de band natuurlijk, maar de audio wordt dan wel erg dofjes.
En daarnaast kan je nog steeds splatter zien, doordat er meer dan 100% gemoduleerd wordt, daar helpt je het filter dan nog niet voor.
En een ander station op 1620 die een poging doet om wat te filteren op 5khz.
Maar die heeft een heel simpel filtertje in gebruik heeft, want de hogere frequenties boven de 5khz worden nauwlijks onderdrukt.
Ter vergelijk, Langenberg op 1593, die precies 2 maal 4.5 khz breed zit, zoals het eigenlijk zou moeten.
Maar ja, wanneer je dan naar Radio 1? op 1008 khz kijkt (volgende plaatje), dan zie je dat die zich ook niet helemaal aan de regels houden, want die zitten met 2 maal 6khz bandbreedte in de lucht...
			
							
			
									
													2 stations, waarvan eentje op 1647, met wel een heel smal filter.
De hoogste frequenties komen niet boven de 3.5 khz. Dan zit je wel mooi smal aan de band natuurlijk, maar de audio wordt dan wel erg dofjes.
En daarnaast kan je nog steeds splatter zien, doordat er meer dan 100% gemoduleerd wordt, daar helpt je het filter dan nog niet voor.
En een ander station op 1620 die een poging doet om wat te filteren op 5khz.
Maar die heeft een heel simpel filtertje in gebruik heeft, want de hogere frequenties boven de 5khz worden nauwlijks onderdrukt.
Ter vergelijk, Langenberg op 1593, die precies 2 maal 4.5 khz breed zit, zoals het eigenlijk zou moeten.
Maar ja, wanneer je dan naar Radio 1? op 1008 khz kijkt (volgende plaatje), dan zie je dat die zich ook niet helemaal aan de regels houden, want die zitten met 2 maal 6khz bandbreedte in de lucht...
Real Transmitters glow in the dark
			
						Re: Orion, Scotland, Royal, Seawulf en Alrex radio
Mooie plaatjes Boomi,  
 
Inderdaad mooi de drukte in beeld.
Ik zat trouwens maar met 20 Watt.
Groet,
Herman.
Zeewolf
			
			
									
																
						Inderdaad mooi de drukte in beeld.
Ik zat trouwens maar met 20 Watt.
Groet,
Herman.
Zeewolf
Re: Orion, Scotland, Royal, Seawulf en Alrex radio
Hey Boomi, bedankt. Mooie plaatsjes hoor.!